House - Decisions - Construction

It's truly amazing to to watch a house go from a plan on paper to an actual building. Thanks to our good friends in Texas we've been able to witness this through pictures. Thank you Harry and Ruth!!!

Our lot before it was cleared (5 January 2007):

The lot before it was cleared The lot before it was cleared

Our lot cleared of cedars! I'm so glad we could keep the so many oaks. This stand of oaks will be just off our front porch. (21 January 2007)

The lot cleared of cedars

No it's not a swimming pool, this is were they are going to build our house (21 January 2007):

The lot cut for the foundation

The view from our backyard before the house gets in the way (21 January 2007):

Backyard view (lot cut for the foundation)

The foundation is forming! (28 January 2007)

Foundation forms

One of the reasons we chose a lot in the Aspen Hills area of Belterra is because they have larger lot sizes and we really don't like houses built so close together that you can reach our and touch your neighbor (literally!). Unfortunately our backyard neighbor, in order to save a nice old oak on the side of his house, chose to build his house FIVE feet from our back property line, the absolute closest allowed (the property line runs between the two greenish utility pipes). Fortunately there will be a wooden privacy fence on the property line. Our house is more centered on our lot so it's not too bad. (22 January 2007)

Lotline and neighbor

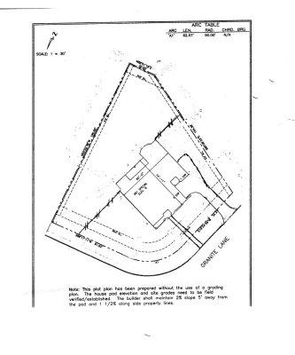
Here's our plot plan. We added a parking spot next to the single car garage and (not shown in the diagram) we turned the walkway toward the driveway so it's 'L' shaped.

Plot plan

We have walls... well maybe just studs but the house it is taking shape... (3 February 2007)

First floor framed (from the corner) Front of the house, first floor framed
Back of the house, first floor framed Back of the house (2), first floor framed

The second floor is taking shape... And we even have a driveway... (7 February 2007)

Second floor framed Second floor framed
Second floor framed Second floor framed

More progress... (11 February 2007)

Front of the house Jessica's view
From the back From the side
Stairway Stairs from above

Our house as seen from the Highland Homes sales office...

Our house from the Highland Homes sales office Our house from the Highland Homes sales office

More progress... (18 February 2007)

Front of the house Back of the house (from an angle)
Kitchen (from the family room) Game room windows

More progress... (26 February 2007)

Side of the house Back of the house (from an angle)
Fireplace View out the homeschool window

Brick started going up today... (5 March 2007)

Side of the house with brick Side of the house with brick

More brick, some stone, and sheetrock... (7 March 2007)

Front corner with brick and stone Family room

All the sheetrock is up... (10 March 2007)

Dining room Breakfast nook from the kitchen
Family room from the kitchen View down the upstairs hall

Most of the cabinets are in, the railing is up, and more stone work. (27 March 2007)

Kitchen cabinets (oven side) Kitchen cabinets and island
Stairs with the railing More stone on the front of the house

More work (including tile) is done. (2 April 2007)

Downstairs master bath Stairs stained and with tile in the front hall
Front porch bricked Upstairs bath
The kitchen island with tile border Close up of the tile border

It's really coming together now... (5 April 2007)

Butlers pantry Kitchen with countertops and island
Fireplace Front door

More progress... And a lawn... (21 April 2007)

Entry lights Kitchen
Front of  the house Back yard
Front of the house from the corner Mulch around the stand of oaks

Almost done... (5 May 2007)

Front of the house From the front corner
Back of the house Kitchen
Front door Stairs (with carpet)

Almost done... (5 May 2007)

Front entry and doors to homeschool room Dining room
Kitchen and breakfast nook Downstairs master and sitting room

House - Decisions - Construction